![]() |
|
Képtár / Tagok portfóliója / Vörös-tenger, Északi szafari 2004 | ![]() |
![]() |
|||
|
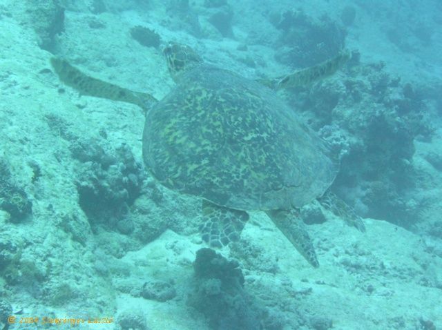
A teki egy igen jó napon került lencse végre. Aznap ő volt a második. Az első a Yolanda roncsa fölött gyöngyörködött a szaniter áruban. Ez a teki a Bluff-Point-nál várta, hogy beugorjunk a vízbe. Alig merültünk el már pózolt is.
Feltöltő: Kékbálna , Megtekintve: 978
« Vörös-tenger, Északi szafari 2004 album » |
|||
Thailand
1/2 db alapján:
(átlag: 3) könnyű körülmények
max: 28m, látótáv: 10-25m , driftes




